© 2025 Viglietti Propiedades.
Todos los derechos reservados.
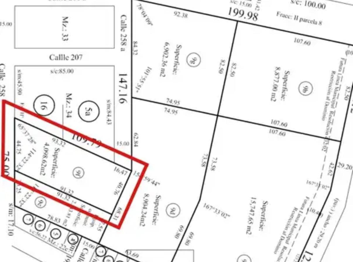
Venta - Lotes y fraccionesCalle 258 entre 208 y 207 - Sourigues
OPORTUNIDAD: FRACCIÓN LINDERA AL Bº FEDERICO I
Calle 258 entre 208 y 207 - SouriguesLo esencial
- Categoría: Venta - Lotes y fracciones
Medidas
- Superficie total: 4098
Descripción
-
Descripción:
Calle 258 entre 208 y 207 - Sourigues
Lindero a Barrio Cerrado Vicente Federico 1º
De rápido acceso a autopista Bs As La Plata4098 m2
Tiene escritura.
U$S 220.000.-
Ubicación
- Barrios : Sourigues
Comparte esta property
Powered by Estatik
